Referenzen der letzten Jahre
Nachfolgend erhalten Sie einen Überblick über in den letzten Jahren realisierte Projekte.
Katastervermessungen
In den letzten Jahren wurden über 800 Anträge auf Grenzwiederstellung von Flurstücksgrenzen erfolgreich bearbeitet.
- Gemarkungsstein
- Flurkartencroqis
In den letzten Jahren wurden über 600 Anträge zur Flurstücksbildungen erfolgreich bearbeitet. So zum Beispiel die folgenden Vorhaben:
- Parzellierung Wohngebiet „An der Lindenallee“ Freital Pesterwitz
- Parzellierung Wohngebiet „Birkenweg“ Kurort Hartha
- Parzellierung Wohngebiet „Birkigter Höhe“Freital
- Grenzpunkt_Abmarkung
- Flurstuecksbildung
In den letzten Jahren wurden zahlreiche Anträge zur Vermessung an langgestreckten Anlagen erfolgreich bearbeitet. So zum Beispiel die folgenden Vorhaben:
- Straßenschlussvermessung B97 Ortslage Ottendorf-Okrilla
- Straßenschlussvermessung Ortslage Medingen
- Schlussvermessung Bahnstrecke Borsdorf (S) – Coswig, km 91,0 bis 102,6
- Schlussvermessung Bahnstrecke Dresden – Elsterwerda, km 11,8 bis 14,6
In den letzten Jahren wurden über 1000 Anträge zur Gebäudeaufnahme in das Liegenschaftskataster erfolgreich bearbeitet.
Lagepläne zum Bauantrag
- örtliche Aufnahme Lage- und Höhenplan
- Erstellung eines Lageplans zum Bauantrag gemäß §9 DVOSächsBO inkl. schriftlichen Teil
- Berechnung Abstandsflächen und GFZ/GRZ
- örtliche Aufnahme Lage- und Höhenplan
- Erstellung eines Lageplans zum Bauantrag gemäß §9 DVOSächsBO inkl. schriftlichen Teil
- Berechnung Abstandsflächen und GFZ/GRZ
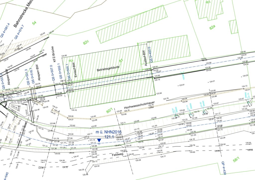
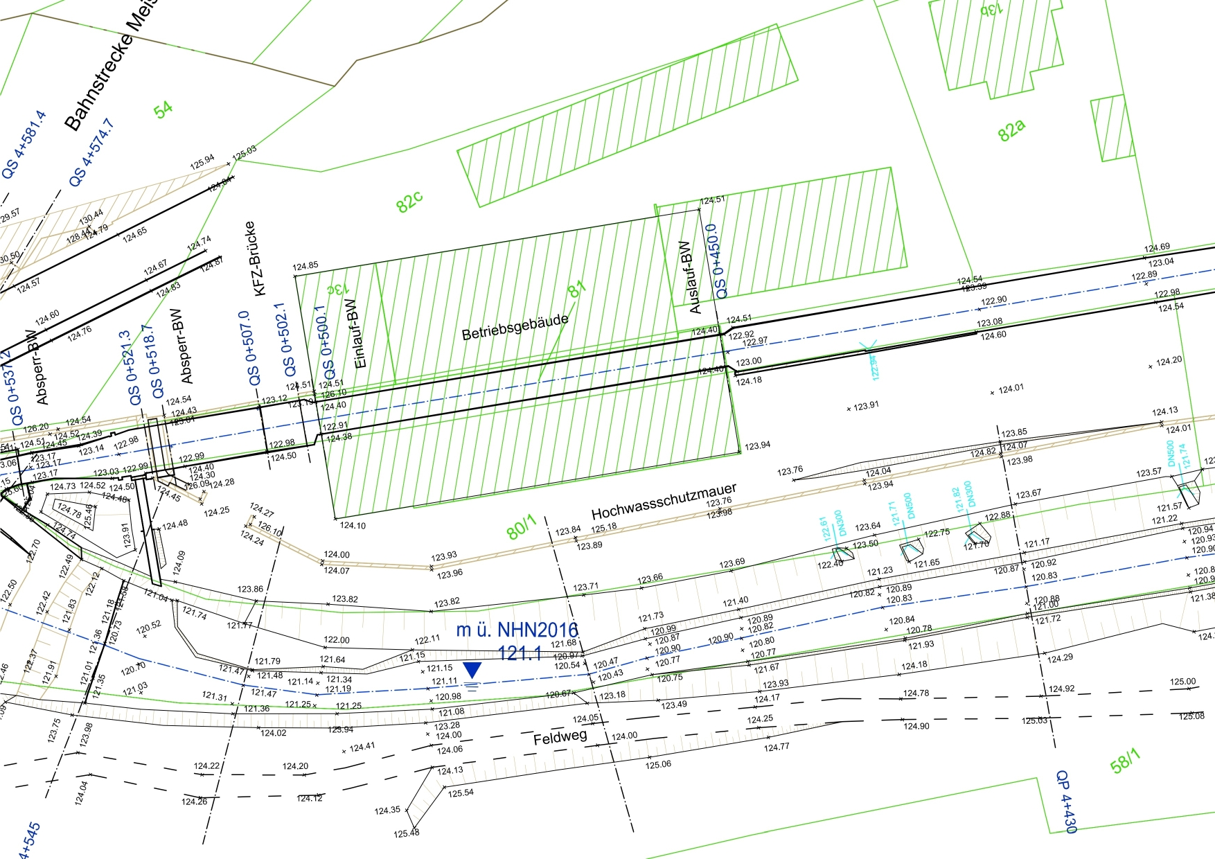
Entwurfsvermessungen | Lage- und Höhenpläne
- Gewässervermessung der Triebisch Fluss-km 0+000 bis 31+25 als Grundlage zur Erstellung von Hochwassergefahren- und risikokarten
- Erstellung eines 3D-Modells der Treibisch
- Erstellung von Lage- und Höhenplänen sowie Längs- und Querprofilen und Ansichten aller querenden Bauwerken
- örtliche Aufnahme Lage- und Höhenplan
- Recherche und Einarbeitung Medienbestand
- Erstellung eines SIB-konformen Bestandsplanes
- örtliche Aufnahme Lage- und Höhenplan
- Recherche und Einarbeitung Medienbestand
- Erstellung eines Bestandplanes mit Mediendarstellung sowie Ausweisung befestigter Flächen
- örtliche Höhenaufnahme Fussboden
- Analyse und graphische Darstellung Ebenheit Fussboden
Bauabsteckungen | baubegleitende Vermessung
- Prüfung und Übernahme der Ausführungsplanung
- Schaffung eines lokalen Baulagenetz und Transformation der Ausführungsplanung
- Grobabsteckung für den Erdaushub
- Absteckung Achsen für den Geschoss-Hochbau
- Schaffung von Höhenpunkten und Geschoss-Meterrissen
- Prüfung und Übernahme der Ausführungsplanung
- Schaffung eines lokalen Baulagenetz und Transformation der Ausführungsplanung
- Absteckung von Achsen für den Stahlhochbau
- Schaffung von Höhenpunkten für die Bauausführung
- Kontrollmessung während der Bauausführung
- Prüfung und Übernahme der Ausführungsplanung
- Schaffung eines lokalen Baulagenetz und Transformation der Ausführungsplanung
- Absteckung von Achsen für den Hochbau
- Schaffung von Höhenpunkten und Geschossmeterrissen für die Bauausführung
- Prüfung und Übernahme der Ausführungsplanung
- Schaffung eines lokalen Baulagenetzs und Transformation der Ausführungsplanung
- Absteckung von Achsen
- Schaffung von Höhenpunkten für die Bauausführung
Deformationsmessung | Überwachungsmessung
- Überwachungsmessung mittels Nivellement zur Feststellung von möglichen Senkungsbewegungen von Bauwerken
- Auswertung der Überwachungsmessung und Dokumentation der Ergebnisse
- tachymetrische Überwachungsmessung zur Übeprüfung der Lotrechtstellung eines Funkmastes
- Auswertung der Überwachungsmessung und Dokumentation der Ergebnisse
Mietflächen- | Verkaufsflächenermittlung
- Aufnahme Verkaufsflächen- und Lagerräumen
- Ermittlung und Aufstellung Verkaufsflächen
- Kaufpark Nickern_Foto1
- Kaufpark Nickern_VKF-Plan




































